San Diego County District 5 Supervisor
Jim Desmond
November 4 2025
Great news for Borrego Springs!
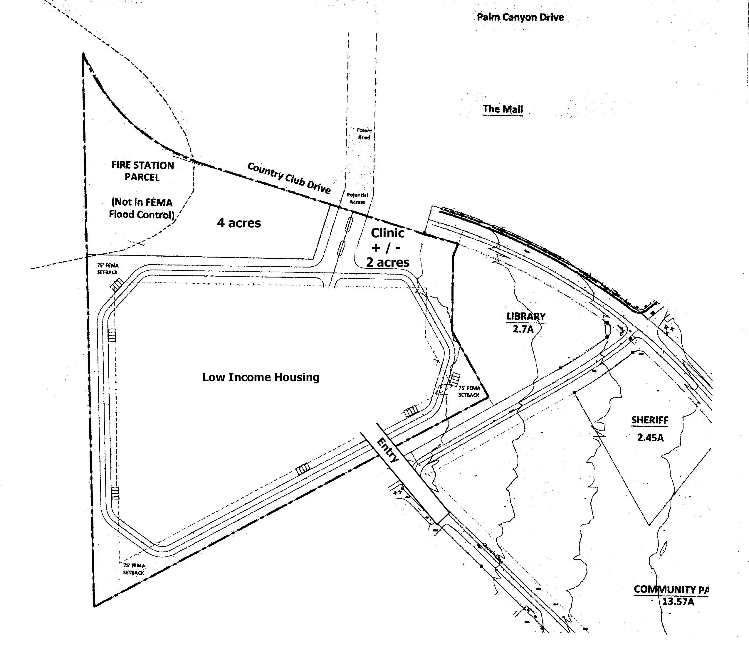
Today, the Board of Supervisors approved the authorization to negotiate and accept a generous six-acre land donation from the Wright family — a gift that brings us one step closer to building a new fire station and future health clinic right here in Borrego Springs.
This land sits adjacent to the existing County complex on Country Club Road, near the library, Sheriff’s Station, and park — creating a true community hub for safety, health, and public services.
The current Borrego Springs Fire Station 60 is outdated and sits on a former lumber yard site. This donation gives us the opportunity to replace it with a modern fire station designed to meet today’s needs, improving emergency response, wildfire readiness, and public safety for residents and visitors alike.
In addition, a portion of this property will be reserved for a future health clinic or health-related facility, ensuring that residents can access critical care closer to home — something this rural community has needed for far too long.
I want to extend my sincere gratitude to County staff and the Wright family for making this possible. Their generosity and commitment to Borrego Springs will help save lives, expand services, and strengthen the community for generations to come.
KPBS ARTICLE ON LAND DONATION
WHO WE ARE
Our mission is to provide affordable, sustainable, and high quality housing that enables low-income seniors to age in place with dignity.
WHAT NEEDS FUNDING
Safe, supportive housing for approximately 60 low-income seniors aged 62 and older – individuals who are living with disabillities, chronic health conditions, and the growing insecurity of substandard housing while surviving on fixed Social Security incomes.
WHY IT MATTERS
Borrego Springs, a rural community in Northeastern San Diego County, faces severe senior housing shortages, limited transportation, and scarce local services.
Many residents have mobillity challenges and live far from essentials. Our project provides affordable, accessable housing along with shuttle service to groceries, clinics and community spaces – supporting safe, independent living.
MEASURING SUCCESS
⊕ Safe, Stable Homes: 90% of units filled by low-income seniors within the first year.
⊕ Healthier Lives: Residents report improved well-being through regular check-ins and care.
⊕ Engaged Community: 75% of residents participate in on-site wellness and support services.
Life is sweet for San Diego senior Earl Deshazer eight months after moving into his new affordable home at Levant Senior Cottages in Linda Vista. Earl lives in one of 127-units designed to meet the needs of low-income seniors 55 and up, earning between 25 percent and 50 percent of the Area Median Income.
Built on county excess land by Wakeland Housing and Development, Levant Senior Cottages was the first to open of 11 affordable housing communities planned for county property. It is designed to be a comfortable community for residents and provide social opportunities within walking distance for a population that often feels isolated and alone.
For Earl, the relief and thrill of settling into his own home are a dream come true after a health scare left him unable to work and reliant on his family for housing. Now he says, he is independent again and overjoyed.
Since 2017, the County has invested more than $314 million into affordable housing, using excess land, its Innovative Housing Trust Fund, and other state, federal, and local funding sources administered by the County. Those funds have helped open doors to over 2,500 homes with 3,100 more on the way.
Earl Deshazer
America Is Pushing Its Workers Into Homelessness
Mr. Goldstone is the author of
“There Is No Place for Us: Working and Homeless in America,” forthcoming.
At 10 p.m., a hospital technician pulls into a Walmart parking lot. Her four kids — one still nursing — are packed into the back of her Toyota. She tells them it’s an adventure, but she’s terrified someone will call the police: “Inadequate housing” is enough to lose your children. She stays awake for hours, lavender scrubs folded in the trunk, listening for footsteps, any sign of trouble.
Her shift starts soon.
She’ll walk into the hospital exhausted, pretending everything is fine….
Read more on the NYT site

